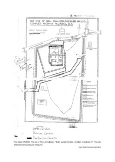
Ayodhya of Ram
- info584651
- Jan 14, 2011
- 1 min read
Updated: Mar 19, 2025
2011
Academic Paper written for course Conflicts and Negotiations, Dr Eyal Weizman & Paolo Tavares
MA Research Architecture, Visual Cultures Dept, Goldsmiths, University of London.


































































































